关于亚星官网 长沙街道办事处侨园路原侨园宾馆地块(黄金海岸四期住宅小区)详细规划调整的公示
亚星官网 骏业房地产开发有限公司申请办理亚星官网 长沙街道办事处侨园路原侨园宾馆地块(黄金海岸四期住宅小区)详细规划调整手续。
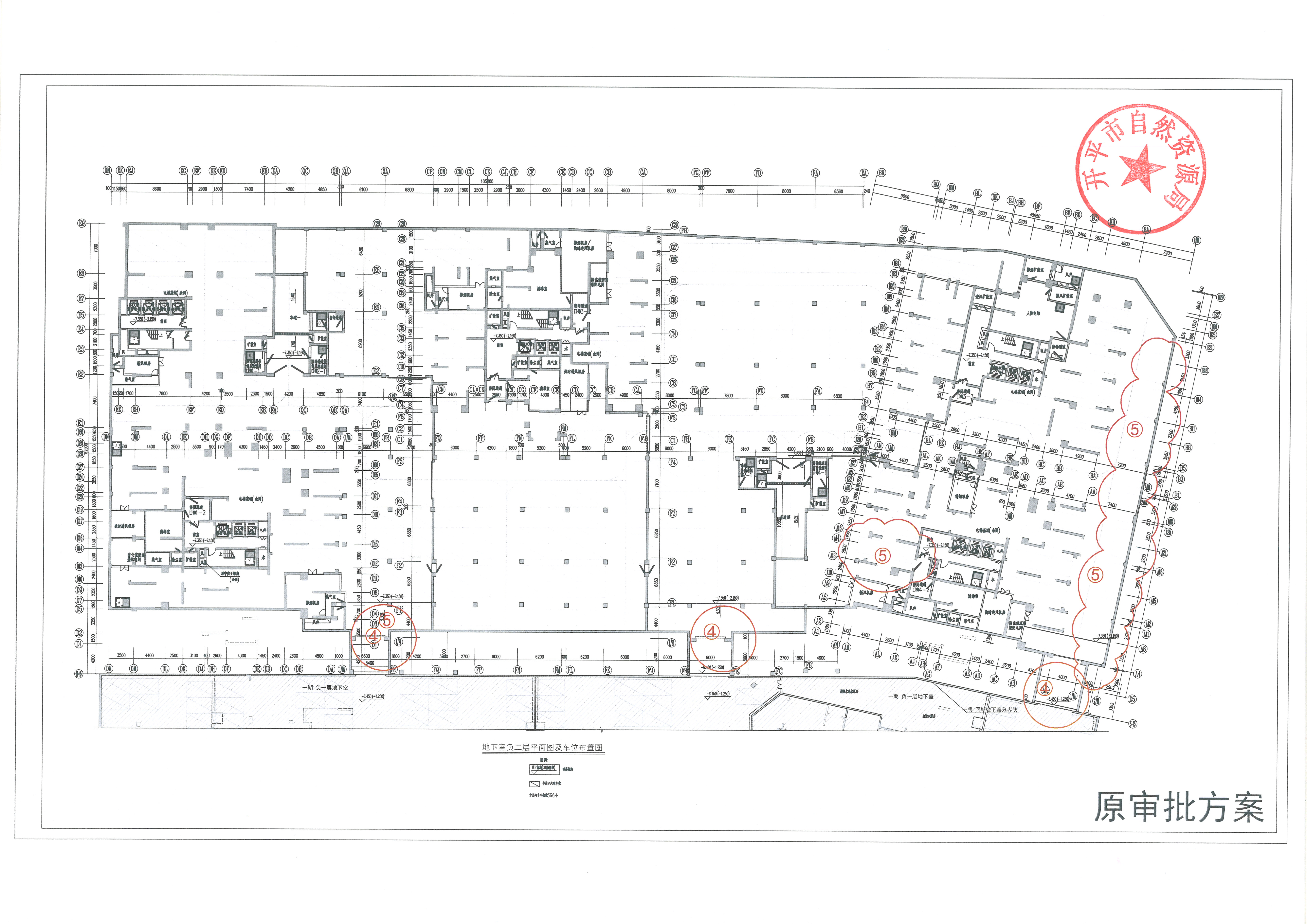
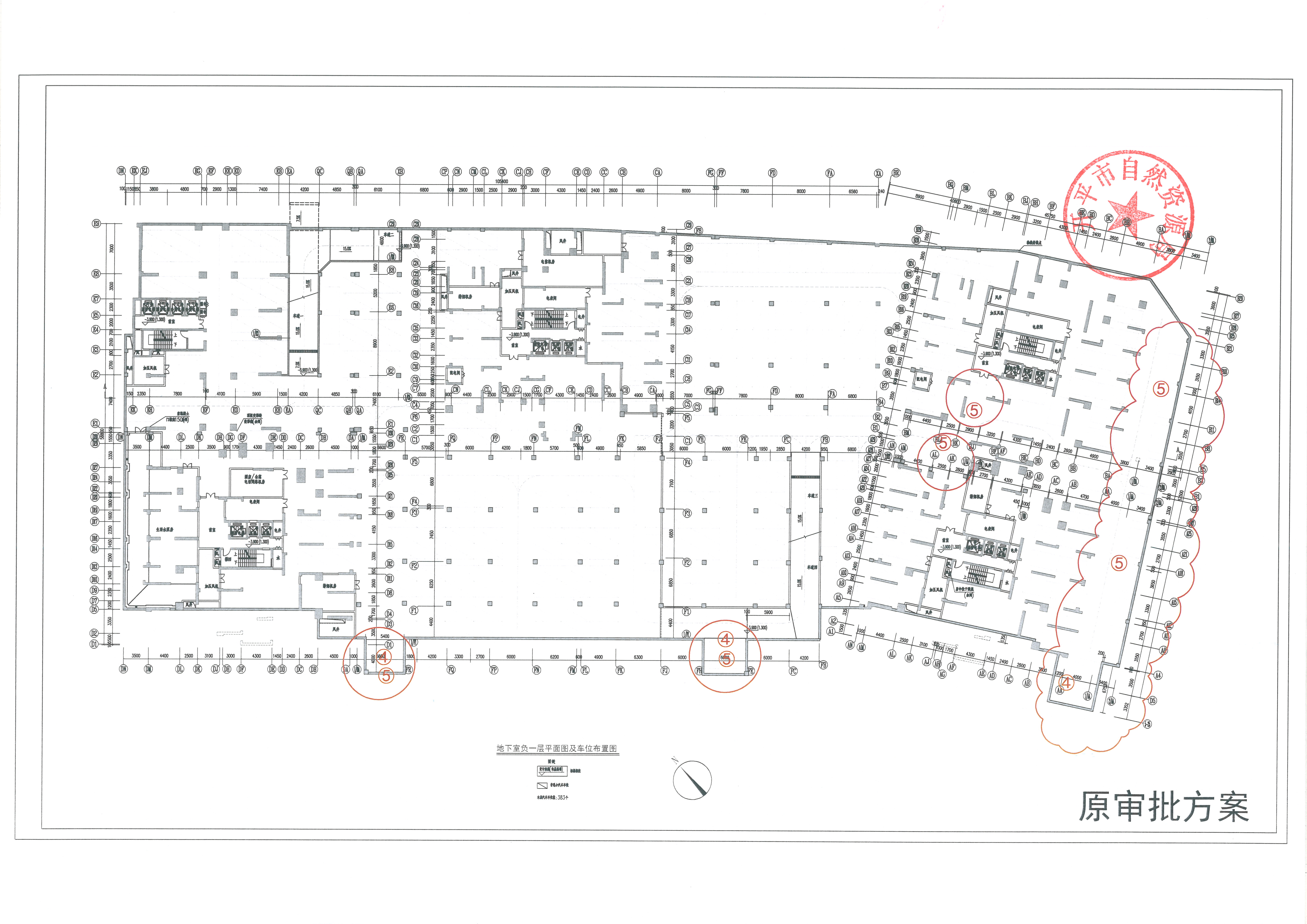
主要调整内容:①调整四期花园的布局(优化花园地块的铺装样式,调整泳池的上落口位置,泳池边增加花架);②调整四期住宅的户型,取消顶层复式户型;③四期6#、9#住宅楼首层增加公厕;④一~三期负一层车库原与四期负二层车库相连接,现调整为与四期负一层连接;⑤四期地下车库部分停车位布局调整。本次详细规划调整除上述5点调整外,其它均按原审批的规划方案实施。
以上所提及的各项调整详见附图。依照《中华人民共和国城乡规划法》有关规定,现将调整方案予以公示。
受理方式:凡涉及本次规划方案调整的利害关系人,在公示期内凭本人身份证明、利害关系相关证明等文件来我局提出书面意见,逾期未提出的,视为放弃上述权利。
公示时间:2019年8月23日至2019年9月1日17:30时止。
公示地点:黄金海岸四期住宅小区项目现场、城市南广场规划公告栏、亚星官网 自然资源局网站(//www.yaxinggw.net/kpgtzy)。
受理单位:亚星官网 自然资源规划局
联系电话:2257762
联 系 人:张伟林
传真:2257700,E-MAIL:[email protected]
联系地址:亚星官网 新海东路1号,邮编:529300
亚星官网 自然资源局
2019年8月23日








相关附件: